27个村!近2000亩!2022年,福州征迁版图再扩张!
新一轮城市更新的大幕拉开,这一次,有你家吗?
一起来看看↓↓↓
仓山区
建新镇透浦村
批准征收建新镇透浦村集体土地10.3171公顷。
征地范围及面积:位于建新镇透浦村,征收土地10.3171公顷,其中建新镇透浦村园地1.2531公顷、其他农用地1.2580公顷、城镇村及工矿用地7.7779公顷、其他土地0.0138公顷、未利用土地0.0143公顷
用途:用于建新花卉市场收储地块项目建设
城门镇鳌里村、龙江村
福州市第二医院南台分院项目土地征收预公告发布。
拟征地面积:4.5551公顷
征地范围:东至前锦新城;西至福峡路;南至环岛路;北至龙江站
涉及的村集体经济组织(具体以土地现状调查结果为准):城门镇鳌里村、龙江村
征地目的:用于医疗卫生用地
盖山镇尚保村、竹揽村
轨道交通5号线一期工程当埔路站(地面征迁)项目拟征地补偿安置方案公告发布。
征地范围:位于盖山镇尚保村、竹揽村
用途:用于城市轨道交通用地
面积:拟征收集体土地1.1980公顷
补偿标准:本次征收土地涉及镇、村征地区片综合地价为144万元/公顷。
城门镇胪雷村
批准征收城门镇胪雷村集体土地0.2880公顷。
征地范围及面积:位于城门镇胪雷村,征收土地0.2880公顷,其中城门镇胪雷村旱地0.0286公顷、园地0.164公顷、城镇村及工矿用地0.0954公顷
用途:用于龙运汽车站项目建设
螺洲镇吴厝村、店前村
批准征收螺洲镇吴厝村、店前村集体土地1.1362公顷。
征地范围及面积:位于螺洲镇吴厝村、店前村,征收土地1.1362公顷,其中螺洲镇店前村城镇村及工矿用地0.8636公顷、吴厝村城镇村及工矿用地0.2086公顷、国有其他土地0.064公顷
用途:用于环岛路与螺洲路交叉西北侧收储地块项目建设
盖山镇照屿村
批准征收盖山镇照屿村集体土地0.4759公顷。
征地范围及面积:位于盖山镇照屿村,征收土地0.4759公顷,其中盖山镇照屿村坑塘水面0.1250公顷、设施农用地0.0807公顷、农村道路0.1096公顷、村庄0.1606公顷
用途:用于轨道交通5号线一期阳岐主变电站项目建设
盖山镇后坂村
批准征收盖山镇后坂村集体土地0.0558公顷。
征地范围及面积:位于盖山镇后坂村,征收土地0.0558公顷,均为城镇村及工矿用地
用途:用于鼓山大桥南连接线周边旧屋区改造项目出让地块一项目补征地建设
仓山镇万里村
牛眠山巷周边路网工程(霞湖路东段与牛眠山路衔接段)项目土地征收预公告发布。
拟征地面积:0.1660公顷
征地范围:东至公安智慧中心;西至福建警察学院;南至福建警察学院;北至正祥万升小区
涉及的村集体经济组织(具体以土地现状调查结果为准):仓山镇万里村
征地目的:用于道路用地
盖山镇黎升村、齐安村
齐安片区配套路网项目拟征地补偿安置方案公告发布。
地块位置:位于盖山镇黎升村、齐安村
拟征收土地面积:拟征收集体土地0.1218公顷,其中:盖山镇黎升村村庄0.0365公顷;盖山镇齐安村旱地0.0055公顷、果园0.0239公顷、村庄0.0559公顷。拟征收土地均为村集体使用,未承包到户
补偿标准及安置途径:本次征收土地涉及镇、村征地区片综合地价为144万元/公顷
金山街道新颐村
福州市金山绿轴道路工程项目土地征收预公告发布。
拟征地面积:2.2031公顷
征地范围:东至玉澜公馆;西至建中小区;南至凤岗路;北至卢滨路
涉及的村集体经济组织(具体以土地现状调查结果为准):金山街道新颐村
征地目的:用于道路用地
黄山片区城市更新项目(城门镇)
1月19日,仓山区黄山片区城市更新项目之一的福安新区,正式启动项目征收工作。
项目涉及城门镇,涉征土地面积369.88亩,涉迁房屋面积约22万平方米。
项目宣传期为1月19日至2月27日,签约期为2月28日至3月31日。
福州市黄山片区城市更新项目示意图
晋安区
新店镇斗顶村、西垅村
批准征收晋安区新店镇斗顶村集体土地0.6893公顷、新店镇西垅村集体土地0.3197公顷,合计征收集体土地1.0090公顷。
征收范围及面积:位于新店镇,其中斗顶村水浇地0.0907公顷、旱地0.0002公顷、其他农用地0.0596公顷、城镇村及工矿用地0.5384公顷、未利用土地0.0004公顷;西垅村水浇地0.0085公顷、其他农用地0.0315公顷、城镇村及工矿用地0.2797公顷
用途:按城市道路用地使用
新店镇后山村
批准征收晋安区新店镇后山村集体土地0.2317公顷。
征收范围及面积:位于新店镇后山村,合计征收土地0.2317公顷,其中水浇地0.2135公顷、其他农用地0.0182公顷
用途:按规划用途二类居住用地使用
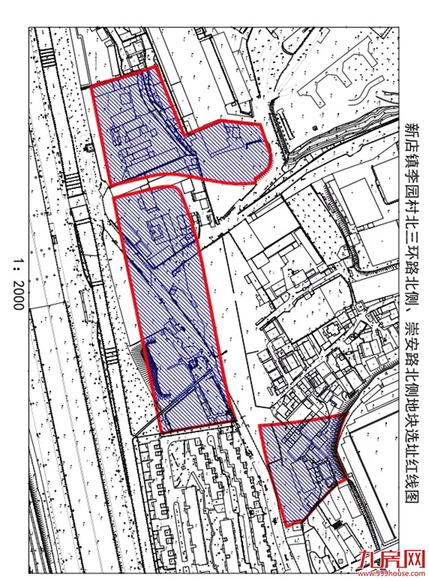
新店镇赤星村
新店镇李园村北三环路北侧、崇安路北侧地块项目拟征地补偿安置方案公告公布。
用地位置:位于晋安区新店镇赤星村
规划用途:居住、商业用地及其配套
拟征收面积:拟征收晋安区新店镇赤星村集体土地1.8189公顷,其中:水浇地0.1593公顷、其他园地0.0528公顷、农村道路0.1435公顷、坑塘水面0.2908公顷、沟渠0.0075公顷、设施农用地0.1324公顷、村庄1.0326公顷。1.5169公顷的土地使用权为村集体
补偿安置方案:
鼓山镇、岳峰镇
晋安区晋安湖周边片区土地征收成片开发方案(草案)公示。
用地位置:福州市晋安区鼓山镇、岳峰镇
用地面积:9.8475公顷
用地范围:北至喜盈门建材家具广场、西至连江北路、东与南至晋安湖
计划实施周期:2022年-2024年,3年内实施完毕
鼓山镇
晋安区地铁2号线周边片区1土地征收成片开发方案(草案)公示。
用地位置:福州市晋安区鼓山镇
用地面积:6.2960公顷
用地范围:东至鼓山镇政府、西至规划道路、南至福马路、北至中辉新苑和规划道路
计划实施周期:2022年,1年内实施完毕
马尾区
罗星街道上岐罗建片城市更新+项目
2月14日,马尾区罗星街道上岐罗建片城市更新+项目正式启动,进入宣传期,至2月28日结束,3月1日至4月15日为签约期。
涉及房屋搬迁面积约20万平方米,房屋共610栋,居民1500户。
补偿安置方面,制定了对接存量现房、鼓励购房货币奖励、购买安置型商品房、产权调换房等四种方式,可自由选择、灵活组合。
马尾区内现已准备了沿山佳园、易安居、君竹佳园等共计13处现房房源用于安置,在协商期限内签约并搬迁,还有具体的奖励。
亭江镇长柄村
(佳品)新型包装材料制造项目拟征地补偿安置方案公告发布。
地块位置:(佳品)新型包装材料制造项目,位于亭江镇长柄村
规划用途:为工业及其配套用地
拟征收土地面积:拟征收亭江镇长柄村集体土地1.8224 公顷。其中:城镇村及工矿用地1.8224公顷
征收目的:用于政府组织实施的成片开发需要用地
(榕教)创意文教用品生产项目拟征地补偿安置方案公告发布。
地块位置:(榕教)创意文教用品生产项目,位于亭江镇长柄村。
规划用途:为工业及其配套用地。
拟征收土地面积:拟征收亭江镇长柄村集体土地1.8161 公顷。其中:城镇村及工矿用地1.8161 公顷。
征收目的:用于政府组织实施的成片开发需要用地
(优博)工艺美术品制作项目拟征地补偿安置方案公告发布。
地块位置:位于亭江镇长柄村。
规划用途:为工业及其配套用地。
拟征收土地面积:拟征收亭江镇长柄村集体土地2.1940公顷。其中:城镇村及工矿用地2.1940公顷。
征收目的:用于政府组织实施的成片开发需要用地
闽侯县
493.43亩!荆溪连发7条征地补偿公告
本次征收的七幅地涉及荆溪甘洪路片区、荆溪大道南片区、荆溪大道北片区,总面积493.43亩。
荆溪镇荆溪大道南片区52.23亩住宅用地项目位于闽侯县荆溪镇荆溪社区、溪下村。
荆溪镇荆溪大道北片区31.15亩住宅用地项目位于闽侯县荆溪镇光明村、溪下村。
荆溪镇荆溪大道南片区34.74亩住宅用地项目位于闽侯县荆溪镇荆溪社区、溪下村。
荆溪镇荆溪大道南片区25.8亩住宅用地项目位于闽侯县荆溪镇荆溪社区、溪下村。
荆溪镇荆溪大道南片区83.85亩住宅用地项目位于闽侯县荆溪镇荆溪社区。
荆溪镇甘洪路片区129.74亩住宅用地项目位于闽侯县荆溪镇荆溪社区。
荆溪镇甘洪路片区135.92亩住宅用地项目位于闽侯县荆溪镇荆溪社区。
127.56亩!闽侯征收三幅地块
闽侯县2021年度第三批次城市建设用地,征收三幅地块共计127.56亩,用途商服和住宅。
闽侯县祥谦镇兰圃村
福建省凯威利华实业有限公司预申请项目位于闽侯县祥谦镇兰圃村,用于工业用地。
拟征收祥谦镇兰圃村集体土地1.5866公顷,其中旱地1.5391、其他农用地0.0475公顷(祥谦镇兰圃村集体土地使用权面积1.5866公顷)。
写在最后:
城市的发展离不开建设,更离不开推陈出新。
每一轮拆迁,是将满纸规划实际落地、把美好蓝图变成生动现实。
展望未来,随着新机遇到来,福州一些原本沉寂的土地将逐渐释放发展红利,今日平地或成万丈高楼,我们也将迎来一座“靓”城。


















































闽公网安备 35020302035470号
最新评论