长自然工〔2021〕321号
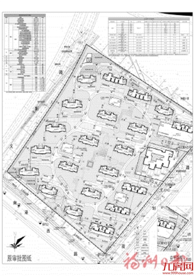
福州新区开发投资集团有限公司开发建设的位于福州滨海新城南港西路北侧、义新路东侧、万新路南侧的壶江泛月花园(滨海新城安置房四期)项目,于2019年5月24日取得《建设工程规划许可证》,现新区集团公司向我局申请总平及单体建筑设计调整。总平绿地轮廓微调并局部增加景观步道;M1#门卫位置向南移动,取消M3#门卫;机动车停车位位置微调,整体布局及数量不变;非机动车停车位布局根据景观调整,位数增加114个;社区室外活动场地位置由20#楼西侧调整至10#楼与15#楼之间,用地面积增加;各楼栋上部局部横向线条由浅灰色面砖调整为白色铝单板,底部局部增加深灰色铝单板横向线条;1#-3#、5#-10#、13#、15#-19#楼北立面楼梯间处白色和浅灰色调整为深灰色;2#、3#、5#楼取消屋面构架,8#-10#、13#、15#-17#屋面方形混凝土构架调整为弧形钢构架;各楼栋二层北侧钢结构雨披构架造型调整,颜色为深灰色;各楼栋屋面栏板均调整为玻璃栏板;20#-23#楼屋面两端增加白色穿孔板;1#-3#、5#-10#、13#、15#-19#楼底部一至三层处白色及浅灰色调整为深灰色,11#、12#、21#-23#楼住宅底部一至二层处白色及浅灰色调整为深灰色,11#、12#、23#楼一层裙房浅黄色石材调整为深灰色面砖;1#-3#、5#-13#、15#-19#楼基座以上除楼梯间外的立面横向浅灰色线条调整为白色;20#-23#楼上部北立面两端、南立面局部外墙面由深灰色调整为白色,北侧墙面白色横向线条调整为贯通;20#楼裙房外立面风格调整,浅黄色调整为白色及浅灰色,局部增加深咖色横向铝合金线条;9#楼一层消防控制室面积增加,公共架空面积相应减少,9#楼占地面积、计容面积和建筑面积增加;20#楼一层内部隔墙调整,取消自动扶梯,二层北侧外墙外移0.2米,其他服务设施调整为商业设施且建筑面积减少,再生资源回收站面积增加,20#楼建筑面积和计容面积减少;B1#楼幼儿园外墙材质由涂料调整为面砖和穿孔板,取消木色铝方管,活动室东侧山墙面局部增加穿孔板,三层铁艺栏杆调整为玻璃栏板;A1#-A3#楼补充标注外墙材质为浅灰色面砖;M1#门卫外立面风格及造型调整,墙面由浅黄色石材调整为浅白色石材,局部设计深咖色铝合金线条,顶部增加深灰色铝单板,占地面积和建筑面积增加;M2#门卫外立面风格调整,顶部增加深咖色铝板线条,窗台处增加白色线条,外立面材质由白色面砖调整为浅灰色干挂石材;调整后的项目规划指标仍符合土地出让规划条件要求。拟修改的有关事项(含修改前后的总平面图、部分建筑平、立面图)详见长乐区人民政府门户网站,网址:http:// www.fzcl.gov.cn/。
根据《福建省实施<城乡规划法>办法》第五十三条、《福建省城乡规划信息公开公示暂行办法》规定,现进行批前公告,征求各利益相关人和相关单位的意见。公告时间为2021年9月7日至2021年9月16日24:00。
在公告期限内,本项目利益相关人和相关单位如有异议,可书面向我局工程规划科反映;如要求听证的,可在公告期限内向我局工程规划科提出书面申请,书面意见应注明真实联系人姓名、联系电话、联系地址;无异议、异议不成立或未要求听证的,将依法予以审批。
联系地址:长乐区文武砂街道文松路666号长乐区自然资源和规划局
联系电话:0591—28922576
福州市长乐区自然资源和规划局
2021年9月2日
原审批图纸
拟申请变更图纸










闽公网安备 35020302035470号
最新评论